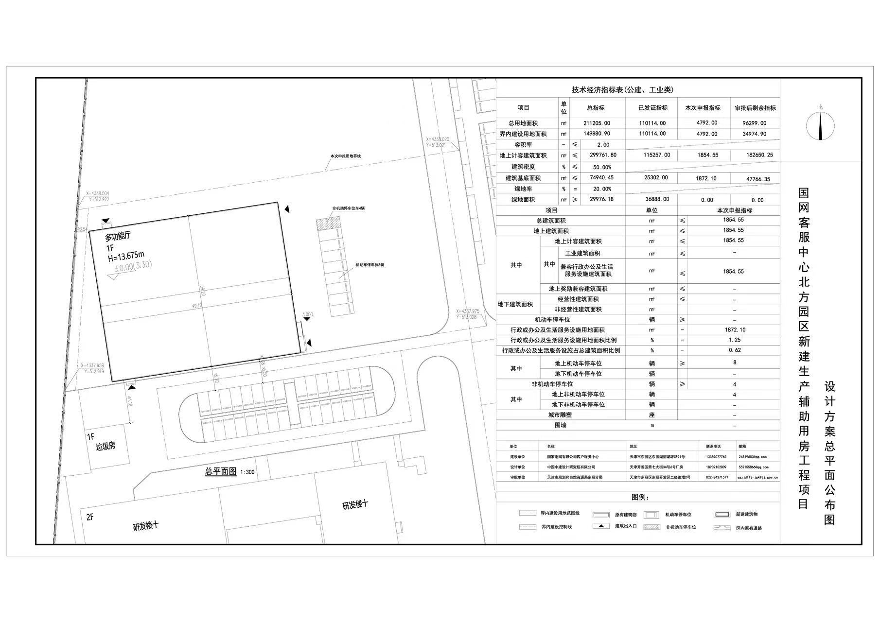
k1体育(中国)官方网站 东丽分局,依据《中华人民共和国城乡规划法》的有关要求,现将国网客服中心北方园区新建生产辅助用房工程项目设计方案总平面图进行公布,公布期限为信息发布之日起至建设项目规划验收合格为止。
通讯地址:天津市东丽开发区二经路增二号
联系电话:022-84371577
邮政编码:300300

k1体育(中国)官方网站 东丽分局
2025年12月16日
k1体育(中国)官方网站 东丽分局,依据《中华人民共和国城乡规划法》的有关要求,现将国网客服中心北方园区新建生产辅助用房工程项目设计方案总平面图进行公布,公布期限为信息发布之日起至建设项目规划验收合格为止。
通讯地址:天津市东丽开发区二经路增二号
联系电话:022-84371577
邮政编码:300300

k1体育(中国)官方网站 东丽分局
2025年12月16日
国务院相关部委
政府机关
局属单位网站
主办单位:k1体育(中国)官方网站 地址:天津市和平区曲阜道84号 邮编:300042
网站标识码:1200000077 备案编号:津ICP备19001981号
津公网安备12010102000518号
版权所有:k1体育(中国)官方网站